氣象達人彭啟明在臉書提醒,這兩天的雨並非有關颱風,而是華南零星水氣東移的結果。瑪娃颱風目前距離台灣還有2550公里,明至週六,瑪娃颱風外圍風場影響台灣,為偏東風環境。東半部可能出現局部短暫陣雨,西半部午後山區局部雷陣雨,南部山區雨勢明顯。在山區或海邊活動的朋友請注意,下雨或打雷時請遠離水邊,海邊亦可能出現大浪。
⠀⠀⠀⠀⠀⠀⠀⠀⠀⠀⠀⠀
預報顯示瑪娃颱風週六至週日北轉是關鍵。彭啟明指出,目前看來,週日瑪娃颱風接近時,北部迎風面地區、東半部至恆春半島降雨機率增加,中南部午後山區仍可能有局部雷陣雨。


【推薦新聞】許藍方暗諷惡臭 美女律師火力全開!再轟她:囂張小三用博士頭銜裝無辜


明起瑪娃颱風開始影響台灣。翻攝自彭啟明臉書
明起瑪娃颱風開始影響台灣。翻攝自彭啟明臉書

民間氣象粉專「天氣風險」貼出瑪娃颱風的照片,驚呼「瑪娃重新開眼(愛心眼?)」,不過瑪娃究竟怎麼走、轉向角度都仍待觀察。網友看了驚呼「這個颱風感覺很猛」、「用這個顏色對比,看起來真的很強的樣子!」

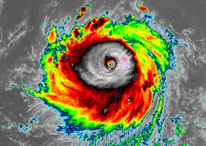
「台灣颱風論壇|天氣特急」今天上午則發文表示,「瑪娃重返強颱啦!而且變得更緊實強壯了!」他並分析雲圖可見,颱風眼外那一大圈是颱風核心,鞏固得非常完整,「猶如鐵牆一般,破壞力會很驚人,即將挑戰第2次巔峰,五級熱帶氣旋!強烈颱風前段班。」

氣象局表示,瑪娃颱風已在今天上午8點增強為強烈颱風,中心位置在關島西北西方180公里之海面上(鵝鑾鼻東南東方2560公里之海面上),以每小時21公里速度,向西進行,中心附近最大風速每秒51公尺(即每小時184公里),相當於16級風,瞬間最大陣風每秒63公尺(即每小時227公里),相當於17級風以上。


【推薦新聞】好市多新玩具「連老爸都好想要」!釣出一排開箱片 網曝一缺點:小孩嚇哭


瑪娃颱風重返強颱,颱風眼外的颱風核心「鞏固得非常完整,猶如鐵牆一般。」翻攝自「台灣颱風論壇|天氣特急」臉書
瑪娃颱風重返強颱,颱風眼外的颱風核心「鞏固得非常完整,猶如鐵牆一般。」翻攝自「台灣颱風論壇|天氣特急」臉書
瑪娃颱風路徑預測圖。翻攝自氣象局
瑪娃颱風路徑預測圖。翻攝自氣象局
作者簡介

李逸安

多年網路新聞工作經驗,手機不離身,對眾人議論之事,感到好奇;對不公不義之事,更是無法漠視。希望為讀者開拓更多不同的視野。


點擊閱讀下一則新聞 點擊閱讀下一則新聞
撐不下去!Dcard電商「好物研究室」5/31關閉 網崩潰:為什麼