瑪娃「超級颱風」關島逞凶 皮卡併軌、引擎蓋掀飛
...nal Weather Service)資料顯示,瑪娃的風速高達每小時225公里,帶來9公尺高的巨浪...
...nal Weather Service)資料顯示,瑪娃的風速高達每小時225公里,帶來9公尺高的巨浪...
...兩天的雨並非有關颱風,而是華南零星水氣東移的結果。瑪娃颱風目前距離台灣還有2550公里,明至週六,瑪...
中央氣象局預報員廖經翔表示,中度颱風瑪娃明天起開始轉彎,要視實際往西的分量多少,會不會影響台灣,還要...
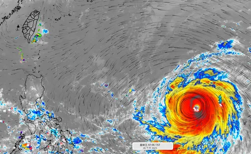
瑪娃一度於昨天(5/24)減弱為中度颱風,不過後來又回到強烈颱風,今早8時的中心位置在北緯 14.2...
鄭明典貼出瑪娃颱風可降水量分析,「颱風眼是清澈的水藍色色階,水氣量最充足的眼牆雲系為均勻的磚紅色。」...
...警?有可能發布陸警嗎?中央氣象局預報員徐仲毅表示,瑪娃颱風目前穩定向偏西移動,下周一接近巴士海峽後,...
民間氣象粉專「天氣風險」指出,瑪娃在各國機構給出強度,已經到「頂級強颱」的水準,呼籲民眾周末不要去海...
氣象達人彭啟明在粉專指出,**瑪娃颱風已經增強至頂峰**,未來幾天的轉向很關鍵,預測上轉彎的時間、地...
美聯社報導,「瑪娃」最大持續風速可達每小時155公里,陣風時速高達190公里,但預料行進路徑將不會直...
強烈颱風瑪娃今日上午8時的中心位置在在關島西北西方630公里之海面上(鵝鑾鼻東南東方2090公里之海...
...吳德榮在「三立準氣象·老大洩天機」專欄撰文指出,「瑪娃」眼牆雲頂溫度增暖,微波頻道雲圖則顯示經過一次...
「瑪娃」於昨天午後形成,氣象局說明,今上午8時瑪娃的中心位置在北緯7.2度,東經148.7度,以每小...
根據氣象局觀測,強颱瑪娃今日晚間8時,中心位置在北緯 12.3 度,東經 146.0 度,以每小時1...
氣象局指出,瑪娃目前加速往北北東方向移動,強度仍屬中度颱風,暴風半徑維持在300公里左右,且暴風圈持...
...大東島地方,沖繩縣所有公立中小學校都停課一天。 瑪娃威力雖較昨天來得弱,但今天仍在沖繩颳起強風,已...
被指稱是「瑪娃肆虐關島」的短片,從上週起就在臉書、推特等平台流傳,影片中的強風豪雨讓網友驚嘆「簡直是...
瑪娃一度於今天(5/24)14:00減弱為中度颱風,中心氣壓930百帕,同時間位於關島東北東方60公...
...「猛烈颱風」。 日本氣象協會表示,今年第2號颱風瑪娃將在5月29日以「非常強烈颱風」朝沖繩南方前進...
...壓930百帕,以每小時13公里速度,向西北西進行。瑪娃颱風短時間內強度大致持平,後續強度可能在中颱上...
...上午期間發布海上颱風警報。氣象專家吳德榮則指出,受瑪娃颱風外圍沉降氣流影響,背風面的新竹以南有4縣市...