強颱哈隆宇宙空拍照曝光 清晰颱風眼、厚實眼牆超驚人
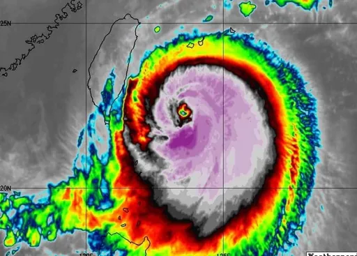
【施養正/綜合報導】第22號颱風「哈隆」增強為強烈颱風,預計經過迴轉之後,從日本外海通過。日籍太空人油井龜美也從太空朝向地球拍攝,清楚記錄下哈隆颱風的颱風眼及厚實眼牆,並認為未來必須時刻追蹤颱風路徑、提高警覺。
【施養正/綜合報導】第22號颱風「哈隆」增強為強烈颱風,預計經過迴轉之後,從日本外海通過。日籍太空人油井龜美也從太空朝向地球拍攝,清楚記錄下哈隆颱風的颱風眼及厚實眼牆,並認為未來必須時刻追蹤颱風路徑、提高警覺。
...潛勢預測圖」有類似的意涵。故台東至恆春半島可能因「颱風眼牆」通過而帶來「破壞性強風」,應密切觀察,嚴...
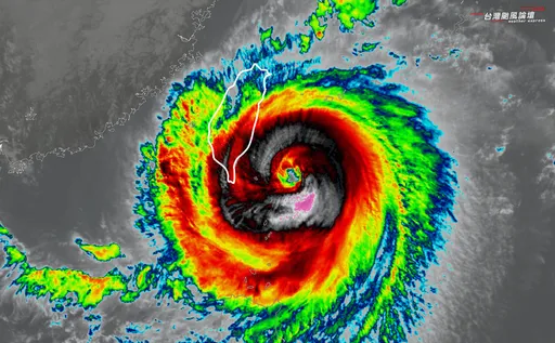
...清楚看到颱風的環流結構和紮實的核心環流。 此外,颱風眼牆上隱約冒著閃電訊號,「這是颱風仍在增強中的...
【陳靜文/台北報導】中颱楊柳來勢洶洶,直撲台灣而來,預估今天(13日)中午前後從台東登陸,氣象專家吳德榮今晨發文示警,登陸點附近勢必遭遇颱風眼16級以上「毀壞性」的強陣風,應嚴加戒備;東半部及南部皆應慎防大量致災雨。
...灣,海葵颱風稍增強,登陸前還奮力的張開了颱風眼,在颱風眼牆南側目前有大量的閃電訊號,在颱風登陸之後,...
...及南部山區居民嚴防豪雨與土石流。 氣象署也提醒,颱風眼牆範圍的風力將最強,登陸點附近要嚴防強風破壞...
... 風力部分,由於「楊柳」環流很小、強風區應都集中在颱風眼牆範圍內,故颱風中心登陸點附近要特別注意強風...
...強度減弱,但環流緊縮,最強的核心還是相當完整,目前颱風眼牆已經在侵襲高雄市區、屏東沿海,風雨非常猛烈...
...sk)問大家「有感覺到風雨嗎?」他並指出小犬颱風逐步增強中,「**颱風眼牆旁的閃電對流很旺盛**。」
...陸、甚至不排除登陸機率,而前氣象局長鄭明典也直呼,目前颱風眼牆雲系很集中,「幾乎像個超大的龍捲風!」
...」(左圖)顯示,「中颱小犬」在台灣南端附近,「**颱風眼牆**」**正在侵襲南端**,通過後、將進入...
...似。至於**颱風是否登陸?**最大的差別就在「**颱風眼牆**」**對登陸點附近的強力破壞,應密切觀...
...,創下該測站的歷史新高紀錄。天氣風險公司表示,目前颱風眼牆正侵襲高雄市區,帶來強勁的風雨。颱風中心位...
...中心目前這個時間點已抵達高雄近海,高屏沿海正在接受颱風眼牆最劇烈風雨,高雄港甚至還觀測出15級以上陣...
...現象,這不僅讓颱風中心晚了好幾個小時登陸,同時也讓颱風眼牆強風豪雨肆虐花蓮地區。 吳聖宇說明,凱米...
...現象,這不僅讓颱風中心晚了好幾個小時登陸,同時也讓颱風眼牆強風豪雨肆虐花蓮地區。 吳聖宇說明,凱米...
...風登陸台灣。 --- **[ 推薦新聞:小犬「颱風眼牆」將通過2縣市!颳破壞性強風 致災降雨地區...
...是往花東、恆春半島移動,首當其衝的將是東半部地區,颱風眼牆通過的區域會有相當明顯的風雨。其次是北部地...
...犬滯留挾暴雨狂炸13縣市 最快8點登陸!恆春正進入颱風眼牆 ](https://tw.nextapp...
...風力將越強。 --- **[ 推薦新聞:小犬「颱風眼牆」將通過2縣市!颳破壞性強風 致災降雨地區...