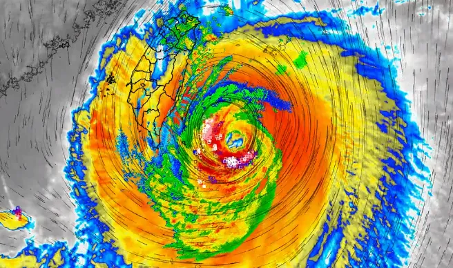
中央氣象署表示,小犬颱風過去3小時強度略為增強,目前中心在鵝鑾鼻東方海面,向西移動,其暴風圈已進入台灣東部、東南部、南投、嘉義、高雄以南陸地,對宜蘭、花蓮、臺東、新竹以南、恆春半島及澎湖構成威脅。自昨天至今天下午2時止,蘭嶼已出現12級陣風,東吉島10級。
警戒區域為
陸上:宜蘭、花蓮、臺東、南投、新竹、苗栗、臺中、彰化、雲林、嘉義、臺南、高雄、屏東、恆春半島、澎湖應嚴加戒備。
海上:臺灣東半部海面、臺灣海峽、巴士海峽及東沙島海面航行及作業船隻應嚴加戒備。
民間氣象粉專「台灣颱風論壇|天氣特急」也提醒,過去3小時,小犬颱風略為增強,「雷達的颱風非常清晰,眼牆厚實,尤其颱風南半圈特別暴力!再次呼籲,台東、恆春半島、屏東南部,是登陸熱區,請務必做好萬全準備!」
「台灣颱風論壇」預估,小犬明天上午於台東成功~恆春之間登陸,下午至傍晚於高屏附近出海。登陸熱區及颱風中心通過的區域嚴防猛烈風勢及雨勢。週四到週五上午是颱風影響最劇烈時刻,南部、東部持續性的強風大雨,北部、中部也有陣陣強風及大雨。
氣象達人彭啟明也在臉書問大家「有感覺到風雨嗎?」他並指出小犬颱風逐步增強中,「颱風眼牆旁的閃電對流很旺盛。」

爆料信箱:news@nextapple.com
★加入《壹蘋》Line,和我們做好友!
★下載《壹蘋新聞網》APP
★Facebook 按讚追蹤
點擊閱讀下一則新聞
小犬颱風受災區滿州、蘭嶼 勞保局補助6類人半年保費