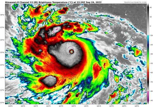
「諾盧」挾暴雨侵襲菲律賓 5救援人員被洪水沖走
中度颱風諾盧是今年襲擊菲律賓的第11個颱風,也是最強的颱風。受侵襲的呂宋島人口稠密,約占菲律賓全國人...
中度颱風諾盧是今年襲擊菲律賓的第11個颱風,也是最強的颱風。受侵襲的呂宋島人口稠密,約占菲律賓全國人...
中央氣象局表示,諾盧已於昨天(24日)晚間8時增強為中度颱風,今、明(25、26日)將通過呂宋島,預...
法新社引述菲律賓氣象局說法報導,「諾盧」已於台灣時間傍晚5時30分在呂宋島東部近海波利羅島(Poli...
...低氣壓結構較扎實,今晚到明天有機率生成第16號颱風諾盧,未來朝西往呂宋島前進,短期內對台灣無直接影響...
...低氣壓結構較扎實,今晚到明天有機率生成第16號颱風諾盧,未來朝西往呂宋島前進,短期內對台灣無直接影響...
...性低氣壓,已在14時發展為輕度颱風,編號第16號「諾盧」,預測朝西往菲律賓附近移動,對台灣無直接影響...
...斯」在日本南方海面,高、低層分離、結構不佳。輕颱「諾盧」呂宋島東方海面,範圍小。中央氣象局「路徑潛勢...
...出,據最新中央氣象局「路徑潛勢預測圖」顯示,「中颱諾盧」受呂宋島地形破壞、強度略減弱,進入南海後,持...
...09-27-21-11-32)」專欄撰文指出,中颱諾盧今晨將在越南中部登陸,持續偏西,登陸後強度迅速...
...降雨,西半部山區留意午後雷陣雨。 第16號颱風「諾盧」清晨2時中心位於鵝鑾鼻西南方1020公里之海...
...影響,且途中可能減弱為熱帶低壓。 另外,目前海面上還有颱風諾盧、庫拉,氣象局也說皆對台無影響。
【記者陳明萱、林志怡/台北報導】硫磺島東南方海面今有一熱帶性低氣壓生成,最快24小時內會轉為輕度颱風「庫拉」,不過距台較遠無影響,明天北部地區溫差較大,且需注意局部短暫陣雨。
...**推薦新聞:[今秋分16.1°C!雙颱「塔拉斯、諾盧」將生成 今晚起北部開始炸雨](https:/...
第16號颱風「諾盧」清晨2時中心位於鵝鑾鼻西南方1020公里之海面上,持續以偏西的方向往中南半島前進...
...6公里速度,向西北進行,對台無影響。 另外,位在台灣西南邊的諾盧颱風也將往西移動,對台一樣無影響。
...**推薦新聞:[今秋分16.1°C!雙颱「塔拉斯、諾盧」將生成 今晚起北部開始炸雨](https:/...
...000公里以上,對台沒有直接影響;另第16號颱風「諾盧」已登陸中南半島,對台灣無影響,而第17號颱風...
至於是否觀察到颱風生成,曾昭誠指出,今日已有「諾盧」颱風生成,不過已從菲律賓通過,只剩下一些水氣影響...
...式(ECMWF)模擬顯示,今天(25日)東北風及「諾盧」外圍水氣雙重影響,北部、東半部雲量多有局部雨...