海葵回馬槍!「海葵猴子的一生」copy經典台詞引迴響 網神回:台積電也是護國神山
...南式 Tainan Style」發文說:「一覺醒來海葵竟然還在家門口,還二次登陸台灣!但台南竟然大太...
...南式 Tainan Style」發文說:「一覺醒來海葵竟然還在家門口,還二次登陸台灣!但台南竟然大太...
海葵颱風昨天登陸台灣,昨(3)日晚上8點左右於高雄梓官出海,並減弱為輕颱,不過,因為缺乏導引氣流,持...
「海葵」凌晨2時中心位於臺北東南東方960公里海面上,向西北西移動,預估週六下半天至週日是影響台灣最...
...日本氣象廳)下午2時最新出爐的路徑分析,「**未來海葵登陸台灣後,由於太平洋高壓東退,導致海葵後期導...
...颱風論壇|天氣特急」發文表示,今天早上生成的輕颱「海葵」其實已經是二世,其預測路徑與2012年的同名...
...034)指出,根據氣象局下午2點最新路徑,已明顯將海葵路徑南修。「**幾乎貼近北海岸陸地前進,甚至已...
...氣象局今天下午2點40分說明最新颱風動態,針對目前海葵颱風動態,氣象局預報員謝佩芸表示,過去幾小時海...
海葵颱風昨天登陸台灣,昨(3)日晚上8點左右於高雄梓官出海,並減弱為輕颱,後續颱風中心又再度登陸、離...
...「觀氣象看天氣」指出,從氣象局預測資料顯示,接下來海葵移動速度將明顯放慢,加上海葵目前處於高海水熱含...
...論壇|天氣特急」今日20時貼出一張雷達迴波圖說明,海葵颱風已經抵達台南至高雄之間內陸平原,低層環流很...
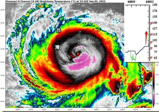
...書氣象粉專「台灣颱風論壇|天氣特急」下午發文表示,海葵颱風即將形成,目前位於關島西北方,環流廣泛,但...
根據中央氣象局資料,颱風海葵中心登陸後,在空曠地區有14至16級陣風,台東市區11級。東海岸東河、成...
氣象局持續針對第11號「海葵」颱風發布海上、陸上颱風警報,上回颱風登陸台灣為2019年8月24日的白...
臉書氣象粉專「台灣颱風論壇|天氣特急」發文表示,海葵有極高的機率,是4年以來頗具規模登陸台灣的颱風,...
中央氣象局預報員伍婉華提到,輕颱海葵未來會持續增強,可能在明天下半天達中颱強度,海葵目前位置約在台北...
海葵颱風今日20時的中心位置在北緯23.5度,東經118.7度,即在澎湖的西方約90公里處,以每小時...
...時15分發布的颱風警報資料顯示,今年編號11號颱風海葵的陸警範圍已擴及15縣市,宜蘭、花蓮、台東、新...
台北市災害應變中心3日晚間8時召開海葵颱風第四次工作會報,災害防救辦公室副主任莫懷祖表示,由於下午北...
... --- **[ 【推薦新聞】北北基桃注意了!海葵轉中颱穿台「風雨不小」 這縣市正面衝擊 ](h...
...颱風路徑機率系集結果來看,統計自8/30至9/1,海葵颱風路徑持續南修,預期從北部外海,到宜蘭,到花...