強烈颱風瑪娃今日(5/26)凌晨2時的中心位置,在鵝鑾鼻東南東方2200公里的海面上,以每小時25公里速度,向西進行。

預報員黃恩鴻表示,強颱瑪娃走偏西這段路徑,環境條件都很不錯,所以持續增強中,不過到菲律賓東北部海面,下週一或下週二準備北轉,環境會比較差一點,屆時颱風會稍微減弱。

未來天氣變化,黃恩鴻指出,今日(5/26)環境仍吹東南風,各地大多為多雲到晴,感受溫暖微熱,西半部高溫為31至33°C,東半部則為28、29°C,尤其南部近山區溫°C會再更高一些,外出仍要做好防曬並多補充水分,而低溫方面變化不大,各地都在23至25°C左右。

隨著水氣減少,天氣也較穩定,僅迎風面的東半部地區有局部短暫陣雨,其他地方則要注意午後因熱力作用,各山區都可能出現短暫雷陣雨,尤其南部可能會下到平地,雨勢較大有機會來到大雨,且會持續較晚一些,下午外出建議攜帶雨具備用。

氣象局還針對恆春半島發布大雨特報,對流雲系發展旺盛,易有短延時強降雨,今天恆春半島有局部大雨發生的機率,請注意雷擊及強陣風。

週六和下週日(5/27、5/28),各地仍為多雲到晴,午後山區有雷陣雨,尤其南部山區午後雷陣雨明顯較大、降雨時間較久,迎風面東半部地區不定時局部短暫陣雨。溫°C上都有31~33°C,東半部30°C。

黃恩鴻表示,下週日特別注意,由於颱風逐漸接近,環境轉偏東北風和東風,所以基隆北海岸、東半部和恆春半島會有降雨情況,越晚降雨越明顯

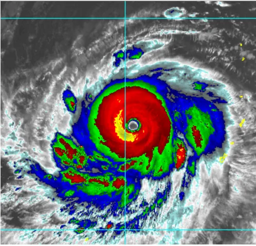
中央大學大氣系兼任副教授吳德榮在「三立準氣象·老大洩天機」專欄撰文指出,今(26)日2時「強颱瑪娃」颱風眼清晰,眼牆結構紮實,美國估155浬/時,氣象局估58米/秒,皆創「今年地表各大洋最強」紀錄(原紀錄為5月14日、印度洋「摩卡氣旋」的140浬/時)

最新(26日2時)中央氣象局「颱風路徑潛勢預測圖」顯示,今、明兩天強度仍處巔峰,預測偏西轉西北西再轉偏北進行,第4、5天不確定範圍擴大、移速減慢,為颱風轉向的特徵。

取自「三立準氣象·老大洩天機」
取自「三立準氣象·老大洩天機」

最新(25日20時)歐洲(ECMWF)10天系集模式模擬圖顯示,「瑪娃」的系集平均路徑(粗黑線),大約在4天後接近巴士海峽,逐漸向北北東迴轉;50條各別系集路徑(細線)則分散在粗黑線的東、西兩側,路徑離台灣愈近,威脅愈大;但這是科技極限的「不確定性」,需密切觀察。

取自「三立準氣象·老大洩天機」
取自「三立準氣象·老大洩天機」

觀測資料顯示:今(26日)晨各地晴朗、雲層稀疏,花東局部地區及及恆春半島曾有降雨。 

最新(25日20時)歐洲(ECMWF)模式模擬顯示,今日至下週日(26至28日)受高壓環流影響,氣溫逐日緩升,白天暖熱如夏。今日各地晴時多雲,山區午後及花東局部地區有短暫陣雨或雷雨的機率;今日各地區平地氣溫:北部20至33°C,中部22至35°C,南部23至36°C,東部22至35°C。週末(27、28日)各地晴朗穩定,山區午後仍有局部短暫陣雨的機率。

最新模式模擬顯示,下週一至週四(29至1日)颱風在巴士海峽迴轉,迎風面大台北、東半部有局部陣雨,背風面天氣穩定、氣溫偏高;但各地受「瑪娃」影響的程度,與其動態密切相關,需隨時注意資料的修正。此外,週末起北部、東半部及巴士海峽,「瑪娃」所傳送過來的長浪逐日增大,海邊活動應注意安全


點擊閱讀下一則新聞 點擊閱讀下一則新聞
「這天」高機率寒流!專家:冷剩6℃↓ 雨掃2天先濕後乾