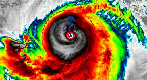
對流爆發!鳳凰颱風要開眼了 鄭明典:又是大災難
...區往環流中心方向內縮,越來越集中,現在逐漸要組織成眼牆雲系了!他研判,鳳凰颱風增強,範圍大、水氣足,...
...區往環流中心方向內縮,越來越集中,現在逐漸要組織成眼牆雲系了!他研判,鳳凰颱風增強,範圍大、水氣足,...
...從太空朝向地球拍攝,清楚記錄下哈隆颱風的颱風眼及厚實眼牆,並認為未來必須時刻追蹤颱風路徑、提高警覺。
【高沛生/綜合報導】中央氣象署今(8)日清晨發布「陸上強風特報」,受偏強東北風影響,至週四晚間蘭嶼、綠島及中南部沿海、離島地區都有8級陣風機率。氣象署預報員李名翔指出,東北季風將影響至週五,北部與東半部天氣偏涼、局部短暫陣雨;週末起水氣略減但仍不穩定。西北太平洋上中度颱風「哈隆」強度逼近強颱,今天起路徑轉向北再偏東北方向,外圍環流稍微影響日本關東地區。關島附近的熱帶擾動95W也有機會發展成新颱,未來路徑可能與哈隆相似。
天氣達人吳聖宇指出,從最新雲圖已可見樺加沙出現雙眼牆結構,顯示其核心環流正在調整,是否能真正達到預報...
...。氣象達人吳聖宇在臉書指出,雷達觀測顯示颱風仍有雙眼牆結構,內眼牆發展強勁,強度可能維持甚至略有增強...
...今年最強颱風「樺加沙」(RAGASA)颱風眼清晰、眼牆對稱完整,加上其結構一路上並未受地形破壞,外圍...
...今「樺加沙」颱風眼清晰可見,不僅核心深層對流深厚、眼牆對稱完整,環流更是非常紮實、完美,且即將達最巔...
天氣達人吳聖宇指出,從最新雲圖已可見樺加沙出現雙眼牆結構,顯示其核心環流正在調整,是否能真正達到預報...
【陳靜文/台北報導】中颱楊柳來勢洶洶,直撲台灣而來,預估今天(13日)中午前後從台東登陸,氣象專家吳德榮今晨發文示警,登陸點附近勢必遭遇颱風眼16級以上「毀壞性」的強陣風,應嚴加戒備;東半部及南部皆應慎防大量致災雨。
...1FB16)** --- 事實上,上午「楊柳」眼牆通過綠島及蘭嶼刷出了破表的17級陣風,成為綠島...
...部山區居民嚴防豪雨與土石流。 氣象署也提醒,颱風眼牆範圍的風力將最強,登陸點附近要嚴防強風破壞。颱...
...離,雨勢才會明顯減弱。 在風力部分,台東登陸時,眼牆附近陣風可能達14級以上,內陸地區也有12級以...
...力部分,由於「楊柳」環流很小、強風區應都集中在颱風眼牆範圍內,故颱風中心登陸點附近要特別注意強風,至...
...峰狀態,颱風結構穩定且規模壯大。論壇表示,康芮的雙眼牆徵兆顯示已進入成熟階段的「眼牆置換」過程,這是...
...粉專「台灣颱風論壇|天氣特急」就分享,目前已經有雙眼牆趨勢,並要開始進行眼牆置換了,透露這在成熟的颱...
...氣象看天氣》指出,「康芮」颱風中心在接近陸地同時,眼牆也變得更加圓潤、厚實,有近岸增強之現象,且花東...
...越來越明顯,可以清楚從衛星雲圖上觀察到,颱風核心與眼牆持續鞏固,越來越紮實並增強中,未來8小時內將達...
...也不少,這證明了從雷達上看到颱風在海峽上建構出來的眼牆組織是真材實料,「非常可怕的小鋼砲結構。」 ...
...指出,**從昨晚開始杜蘇芮颱風逐漸發展出較明顯的雙眼牆結構,大眼的中心大致穩定走向西北到北北西,裡面...
...減弱,但環流緊縮,最強的核心還是相當完整,目前颱風眼牆已經在侵襲高雄市區、屏東沿海,風雨非常猛烈。 ...