3年8颱風侵襲 南投仁愛鄉「每人發2000元」助重建家園
...放」記者會。 仁愛鄉公所表示,考量鄉民近年受颱風杜蘇芮、卡努、蘇拉、海葵、小犬、山陀兒、康芮、天兔...
...放」記者會。 仁愛鄉公所表示,考量鄉民近年受颱風杜蘇芮、卡努、蘇拉、海葵、小犬、山陀兒、康芮、天兔...
中央氣象局今天上午8點宣布,輕度颱風杜蘇芮生成,以每小時8公里速度,向西北西進行。中心氣壓998百帕...
...論壇|天氣特急」今(24)日在臉書發文表示,指中颱杜蘇芮距近台灣會有多近?未來24小時是關鍵,要看杜...
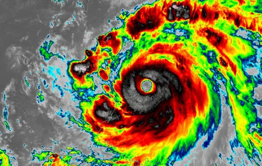
...「天氣即時預報」今指出,受惠大氣、海洋環境條件佳,杜蘇芮已迅速增強至「**中颱上限**」,颱風眼也隨...
...粉專「台灣颱風論壇|天氣特急」今天上午8時許指出,杜蘇芮過去6小時偏北份量稍多,直接撞呂宋機率降低,...
中央氣象局預報員廖經祥表示,中度颱風杜蘇芮因遭呂宋島地形破壞強度,近幾個小時在「原地打轉」,速...
中央氣象局表示,杜蘇芮在23日晚上8點時增強為中度颱風,暴風圈也擴大,23日20時中心位置在北緯 1...
...度是關鍵**。 氣象達人彭啟明則在粉專指出,預測杜蘇芮颱風將在下週三、四在台灣東方近海北上,發布海...
臉書「氣象達人彭啟明」今晨貼出杜蘇芮暴風圈掠過台灣的時程,提醒颱風逐漸接近,籲做好防颱準備,條列以下...
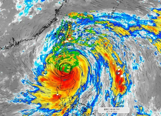
杜蘇芮颱風18時的中心位置在在鵝鑾鼻的南南東方約 420 公里之海面上,據氣象局今(25日)下午4點...
...時粉專再透露,最新的歐洲數值模式又默默擺回來,預測杜蘇芮路徑走巴士海峽跟直撲台灣機率是各50%,真是...
...給台灣南部豐沛的雨量,這是不是最好的結局? 如果杜蘇芮確實如預測從巴士海峽通過、不登陸台灣,則將延...
根據氣象局今(23日)20時預報,杜蘇芮颱風的中心位置在北緯 15.0 度,東經 127.8 度,以...
...都比颱風還厲害」。 --- **[ 推薦新聞:杜蘇芮「重整階段」!南台灣風雨越晚越強 這一點讓中...
從預測圖來看,杜蘇芮經過菲律賓島嶼後突然轉了「直角」,做了90度轉彎,氣象專家分析指,杜蘇芮26日上...
根據中央氣象局觀測,颱風杜蘇芮今天下午2時的中心位置在北緯14.1度,東經132.8度,以每小時14...
根據氣象局最新颱風消息,中度颱風杜蘇芮今天晚上8時中心位於鵝鑾鼻東南方790公里海面上,以每小時17...
...=a.599274732231089)」發文,形容杜蘇芮「走走停停慢速北上」。文中指出,氣象局最新預...
內政部25日貼文示警,「杜蘇芮襲台陸上警報發布」,稱2012年輕颱杜蘇芮未造成嚴重損害,但今年的杜蘇...
...,編號第5號(國際命名:DOKSURI,中文譯名:杜蘇芮),預測未來朝西北移動,請民眾注意氣象局發布...