3年8颱風侵襲 南投仁愛鄉「每人發2000元」助重建家園
仁愛鄉公所去年通過普發災後重建家園現金發放自治條例,今年2月1日至6月30日將發2000元給約1萬5000名設籍鄉民,鄉公所表示,19日辦宣傳記者會,盼更多鄉民得知這項好消息。
仁愛鄉公所去年通過普發災後重建家園現金發放自治條例,今年2月1日至6月30日將發2000元給約1萬5000名設籍鄉民,鄉公所表示,19日辦宣傳記者會,盼更多鄉民得知這項好消息。
卡努颱風的風到底是如何?氣象達人彭啟明稍早指出,北部沿海的風勢真的很大,已經有 11-12級陣風出現...
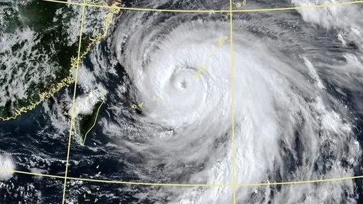
卡努颱風14時中心位置在北緯 25.0 度,東經 128.7 度,以每小時14公里速度,向西北西進行...
受卡努颱風影響,華航取消8月5日CI120 /CI121桃園往返琉球航班,8月6日延後CI120 /...
勞保局表示,行政院公告卡努颱風風災災區範圍,為南投縣仁愛鄉及埔里鎮,勞保局配合《災害防救法》規定,針...
央行表示,8月3日受卡努颱風影響,部分地區停止上班,為顧及支票存款戶資金調度受到影響,有關存款不足退...
...或逐漸減弱。 《台灣颱風論壇|天氣特急》提醒,卡努颱風影響大致可分為2階段。第一階段是颱風本身影...
臉書氣象粉專「台灣颱風論壇|天氣特急」發文指出,卡努颱風靠近台灣的機率降低,週三從台灣北方遙遠處通過...
【財經中心/台北報導】台灣證券交易所表示,由於卡努颱風來襲,台北市政府宣布全體公教機關停止上班,8月...
...被壓毀,電線散落路面。 谷關工務段進一步表示,因卡努颱風環流影響,台8臨37線中橫便道24小時降下...
【即時中心/綜合報導】中度颱風卡努昨晚8時30分發布海上警報,預計在周四、周五(8/3、8/4)最接近台灣,首當其衝的地區包含北北基、宜蘭須嚴加戒備。不過,有北部網友發現,一台掛在公寓外牆外的冷氣室外機搖搖欲墜,加上日前板橋才發生冷氣砸死人意外,正值颱風來襲,直呼「好危險!」
依據中央氣象局情資研判,今(3)日是卡努颱風影響臺灣最大的階段,環流已影響北部陸地,中南部山區可能會...
...,就堅守崗位,持續落實各項防災工作。這周緊接而來的卡努颱風,結構扎實且帶來豐沛的水氣,她也請各位同仁...
【即時中心/綜合報導】卡努颱風已達中颱上限,還在持續增強中,首當其衝的地區包含北北基宜四縣市有機會放...
...新竹以北強風,苗栗以南雨會一直下。 徐仲毅表示,卡努颱風已經逐漸到不利發展環境,強度及暴風半徑有機...
陳建仁今天下午到中央災害應變中心聽取因應卡努颱風整備情形,他表示,根據氣象局預估,颱風最接近台灣的時...
賴清德今晚在臉書發文表示,受到卡努颱風影響,今天各地區風雨漸強,北部地區要嚴防大雨,西南部、東北部地...
【即時中心/綜合報導】杜蘇芮颱風前腳剛走,年第6號颱風「卡努」接棒!中央氣象局資料顯示,輕颱卡努目前位於菲律賓東方海面,持續向北北西進行,未來可能通過台灣本島北方的東海,估下周二起北台灣受影響、不排除可能有劇烈降雨。而日本氣象廳觀測指出,卡努加速升級中,逐步達到中颱強度,且下周三(8/3)就可能提前跨過強颱門檻。
陳建仁指出,今天開始是卡努颱風影響台灣最大的階段,環流已經影響到北部的陸地,中南部山區可能會有豪雨,...
...預定明天(4日)開展的2023桃園地景藝術節,因受卡努颱風及外圍環流影響,桃園市文化局表示,為確保藝...