氣象專家林得恩今在臉書粉專「林老師氣象站」發文表示,聖嬰訊號增強,且有提早發生的趨勢。美國國家氣象局(National Weather Service,NWS)氣象預報中心(Climate Prediction Center,CPC)今年4月最新研究指出,自去年9月開始的反聖嬰訊號明顯減弱,取而代之的是今年2月所恢復為的中性正常特徵,預估將會延續至今年年中。

值得注意的是,自今年5、6、7月起,聖嬰現象發生訊號逐月增加且提早,發生機率已超過60%;至8、9、10月,聖嬰現象發生訊號機率已經接近90%,並至10、11、12月達到巔峰,且至少會再持續到明年1月。

林得恩進一步說明,根據過去歷史事件統計分析,聖嬰現象發生時,當年颱風生成位置偏東、偏南,但直接侵台颱風數量不一定增加;由於生成發展路徑較長,強度發展時間較充足,強颱比例也會上升,秋颱活動延後的可能性也會增加。

此外,聖嬰現象也容易導致台灣夏季降雨分布不均,午後對流不穩定性提高,極端短延時降雨事件增多;翌年春雨偏多、旱象風險降低,有利水庫補注。至於冬季影響,林得恩指出,聖嬰發生時東北季風強度較弱且不易南下,冬天至隔年春季氣溫普遍偏高,出現「暖冬」的機率約在6成左右。

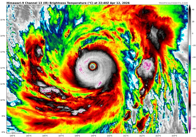
關於颱風近期的發展,2026年第4號颱風「辛樂克」於12日正式升級為今年第一個強烈颱風。中心附近最大風速達每秒55公尺、暴風半徑約320公里,顯示已進入巔峰發展階段;氣象單位指出其結構紮實、環流渾圓對稱、颱風眼清晰銳利,強度有機會挑戰五級颶風等級並持續增強。若以歷史紀錄相比,辛樂克可能成為自1989年以來最強4月颱之一,甚至超越2021年舒力基颱風,成為近35年來最具威力的4月颱風。

2026年第4號颱風「辛樂克」於12日正式升級為今年第一個強烈颱風。翻攝Tropical Tidbits
2026年第4號颱風「辛樂克」於12日正式升級為今年第一個強烈颱風。翻攝Tropical Tidbits
作者簡介

高沛生

新聞編輯,關注政治新聞、社會議題、體育賽事與流行文化,重視深度與時效並行,期望透過報導促進公共討論,持續以文字記錄時代脈動。


點擊閱讀下一則新聞 點擊閱讀下一則新聞
中颱薔蜜來勢洶洶!沖繩機場航班全取消 日本嚴防暴雨強風