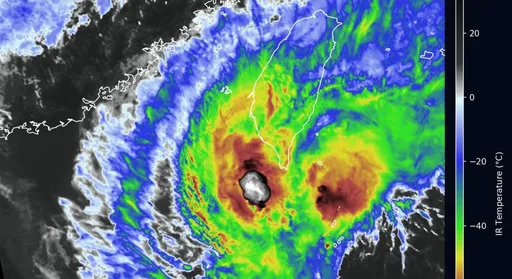
氣象粉專「台灣颱風論壇|天氣特急」發文指出,雖然天兔已經快要不成颱形,但激發出強烈的雨帶,為台南、高雄、屏東帶來豪雨,預估上午過後雨帶就會遠離南部。

而網友也在社群平台表示,「台南淹水了」、「睡到一半直接被嚇醒」、「那雷聲太嚇人,不敢睡」、「台南地下道淹定了」」、「​​楠梓幾乎整晚下不停」、「高雄有夠誇張,一直聽到風切聲」。

水利署目前針對台南市仁德區、安平區、安南區、高雄市湖內區 、 茄萣區發佈二級淹水警戒;台南市南區二級。

作者簡介

黃詩淳

曾任網路媒體,喜歡發掘社會大小事,擅長內容撰寫,具備社群經營實務經驗,熟悉數位行銷與網路趨勢。


點擊閱讀下一則新聞 點擊閱讀下一則新聞
颱風天冒雨上樓查水塔 高雄38歲女疑觸電倒地身亡